
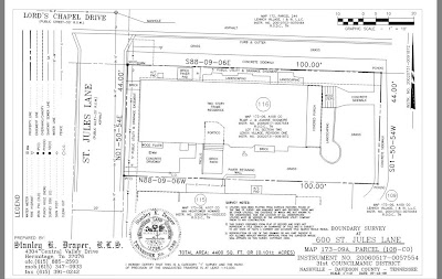
This is a big one, the first actual surveying job that I've gotten thru this blog, very nice. Interesting job. We shot it with a Leica TCR 1105 Robotic Total Station, it's my buddy's station, he was the one that actually taught me most of everything I know about surveying, at least early in my career, I've picked up a few more things along the way, and I got licensed, where he didn't, he does strictly construction layout, and they (the Surveyor's Board) don't really recognize that side of the industry as being (or needing) to have those guys licensed for some reason.
Anyway, this is the job we shot yesterday, and I drew it this morning,..
Sunday, July 12, 2009
600 St. Jules Lane
Posted by Stanley K. Draper, R.L.S. at Sunday, July 12, 2009 0 comments
Thursday, July 2, 2009
Peachers Mill Road, Clarksville, TN
Well, old friend, we haven't spoken in a bit,.. but here we are, haven't been doing a lot of drawing lately, we've paired back our staff quite a bit and I've been working in the field a lot lately, construction staking mostly, which is a good sign for the economy, and have also been working on a couple of intersections in Clarksville, and also, since we've spoken, went on a field trip to Lenoir City up by Knoxville, and set some GPS Control up there, that was an interesting and educational trip for me, because I have never run the GPS Equipment that we have. The system we have is fairly uncomplicated, real user-friendly, for the most part, once you get it dialed in,..it's a Leica Smart Rover, and I've just added another skill to my repertoire, that, and I've been learning also to use the robotic guns we have. They are a bit different as well, and really, I don't know how efficient they really are, it seems we always seem to have a hard time keeping it following us, would be faster in my opinion, for us sometimes just to use the conventional guns, but that's not my call. Of course, if you're just one man, then they are the way to go, but if you have two available, the conventional gun is more efficient. You can't talk to the robot, that's really the only draw back,..with a person over there, they can tell you where you need to be to get a shot, with the robot, you almost have to be able to see it, not always, and the guy I work with is really good with it, but I struggle a little.
Posted by Stanley K. Draper, R.L.S. at Thursday, July 02, 2009 1 comments
How to Save Money on Your Water Bills
Okay, we're all about the environment today, at least we SHOULD be, don't you want it to be nice for your kids,.. they say that a single toilet, now this is what I read at one at the gas station, which probably sees a bit more action than your toilet at home,.. but that one, made energy efficient, could save as much as 40,000 gallons of fresh water per year,.. in that vein, let me introduce you to dual flush toilets, convert your toilet now with the dual flush conversion kit, and save yourself money and help the planet by saving our fresh water supply,..
SelectAFlush is a dual flush toilet conversion kit, that can convert your standard toilet to this water saving device, help our future generations, and the myriad of folks around the country who are actually on water rations, as we speak,.. check this site for more tips on how to save our most precious resource,.. how to save water, and save yourself some money in the process, with the economy the way it is, saving money is a concern for everyone, so visit water savings
and see what you can do, I'm doing my part.
Posted by Stanley K. Draper, R.L.S. at Thursday, July 02, 2009 3 comments







